Информационный проект при поддержке министерства сельского хозяйства, природных ресурсов и экологии Тульской области и ГУ ТО "Природа"

Войти как пользователь:
Войти как пользователь
Вы можете войти на сайт, если вы зарегистрированы на одном из этих сервисов:

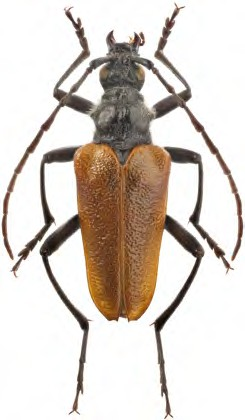
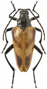
Пахита еловая

Pachyta lamed (Linnaeus, 1758)

Жесткокрылые – Coleoptera

Семейство Усачи – Cerambycidae



Статус и категория редкости

Категория 1б. Исчезающий вид.

Места обитания и биология

Местообитания – старые хвойные и смешанные леса [1]. Основное кор- мовое растение личинки по данным из Европы и Западной Сибири – ель, в меньшей степини лиственница (возможно, и сосна) [3–6]. Развитие 3-летнее [3, 6]. Личинка развивается в отмирающих корнях и прикор- невых частях стволов деревьев; зимует и окукливается в почве [3, 4]. Жуки отмечены (с учётом данных из Московской обл.) в середине июня – июле; активны днём, могут держаться по лесным опушкам, полянам и питаться на цветках; не склонны к разлёту из стаций [1, 3, 4].

Лимитирующие факторы и угрозы

Стенотопный, очень локальный и малочисленный вид, обитающий на южной гра- нице ареала, не реализующий внешне благоприятные возможности для увеличения численности, несмотря на наличие в приокских лесах потенциальной кормовой базы. При очень высокой фрагментации регионального ареала известная и немногие возможные ценопопуляции оказываются в полной изоляции. Снижение их чис- ленности вызывают, в первую очередь, вырубки и удаление отмирающих елей, пригодных для развития личи- нок, в меньшей степени – пожары, а также, возможно, техногенные загрязнения. В долгосрочной перспективе могут быть неблагоприятны также естественные изменения сложившихся лесных экосистем. Изолированные ценопопуляции могут оказываться под угрозой вырождения.

Принятые и необходимые меры охраны

Впервые занесён в КК Тульской обл. Необходимо ограничение хозяйственной деятельности в местообитаниях путём создания ООПТ. Создать таковую в лесу «Дача Ока» (Суворовский р-н). Не допускать умерщвление особей; запретить рубки старых елей (или оставлять их стволы до высоты 1,5 – 2 м); максимально ограничить рубки остальных хвойных и разведение костров вне отведён- ных мест; в радиусе не менее 200 м от местообитаний запретить химобработки. Исследовать возможность интродукции вида в подходящие лесные биогеоценозы.

Численность и тенденции ее изменения

В регионе очень локальный и редкий вид, отмеченный только в Мо- сковской и Тульской обл. В последней известно 1 местообитание на участке леса со старым ельником площа- дью несколько десятков га; структура ценопопуляции должна определяться наличием чрезвычайно или очень компактных участков с группами кормовых деревьев. В многократно обследованном местообитании только за один день было отмечено 3 жука. В некоторые годы последнего десятилетия наблюдалось массовое усыхание старых елей и их вырубки. Нынешнее состояние ценопопуляции вида вызывает некоторые опасения.

Внешние признаки жука

Длина тела 10 – 24 мм, самка в среднем крупнее [3]. Самец внешне сходен с не- которыми другими видами усачей: тело, ноги и усики чёрные, надкрылья буровато-рыжих оттенков, их по- верхность мелкозернистая; переднеспинка с небольшим боковым острым выступом; сбоку голова образует с переднеспинкой тупой угол; усики тонкие, едва короче тела. Самка имеет характеную внешность: надкрылья охристо-жёлтые, каждое с 2-мя очень крупными расплывчатыми черноватыми пятнами изменчивой формы; усики примерно в 1,5 раза короче тела.

Распространение

Северная половина Евразии (таёжная и подтаёжная полоса, некоторые прилегающие гор- ные регионы) [1–7]; указания для Северной Америки относятся к местному виду [3]. В Центре Европейской России распространён в подзонах южной тайги и хвойно-широколиственных лесов [1–5]. В Тульской обл. известен только в Суворовском р-не [1, 2].

Фото

К. В. Макаров.

Составители

Л. В. Большаков.

Источники информации

1. Данные составителя; 2. Дорофеев, 2013; 3. Данилевский, 2014; 4. Никитский и др., 1996; 5. Плавильщиков, 1936; 6. Черепанов, 1979; 7. Саtalogue …, 2020b.